今すぐ無料の会員登録で
閲覧可能物件数が
+1,730
営業時間: 9:30~20:30
定休日: 火曜日、水曜日
NO IMAGE
現地
物件画像
周辺環境
QRコードをスキャンして携帯でもご覧になれます。

売地

売地
5,000万円
    月々の返済額:13万円台
    神奈川県横浜市神奈川区神之木町
    表示住所までのルート

    横浜線 大口駅 徒歩 4分 駅までのルート

    京浜東北・根岸線 新子安駅 徒歩 18分 駅までのルート

    京急線 子安駅 徒歩 17分 駅までのルート

    NEW現地見学会おすすめ会員限定
    土地面積
    70.22㎡(21.24坪)[公簿]
    建ぺい率
    60%
    容積率
    200%
    建築条件
    なし
    今すぐ会員登録する資料請求お気に入りに追加
    お問い合わせ先: 0120-540-844
    電話でお問合せする

    JR横浜線「大口」駅徒歩4分の好立地!横浜・新横浜方面へ直通でアクセス良好!角地!周辺はスーパー・コンビニ・飲食店・総合病院・公園も点在する利便性良好!落ち着いた暮らしを叶える住環境です!

    私自身の住宅購入経験も踏まえて、お客様に寄り添ったご提案を致します

    物件情報
    名称
    売地
    価格
    5,000万円
    土地坪単価
    235.40万円
    権利金/保証金
    なし/なし
    所在地
    神奈川県横浜市神奈川区神之木町
    交通

    横浜線 大口駅 徒歩 4分

    京浜東北・根岸線 新子安駅 徒歩 18分

    京急線 子安駅 徒歩 17分

    土地面積
    70.22㎡(21.24坪)[公簿]
    地目
    宅地
    土地権利
    所有権
    土地現況
    古家付(木造(W))
    建築条件
    なし
    設備・条件
    ガス:都市ガス 汚水:公共下水(使用可) 水道:公営水道(使用可)
    都市計画
    市街化区域
    用途地域
    第一種住居地域
    建ぺい率/容積率
    60%/200%
    国土法の届出
    不要
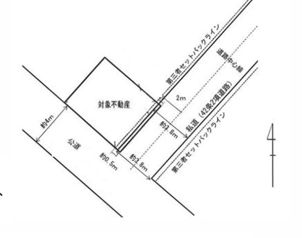
    セットバック
    あり 面積4㎡
    私道負担
    なし
    接道状況
    二方 南西:幅員4.0m公道 南東:幅員3.7m私道
    地域地区
    準防火地域 高度地区 宅地造成工事規制区域 日影制限有
    引渡時期
    相談
    学区

    西寺尾小学校 約250m

    錦台中学校 約500m

    備考
    ●土地面積70.22平米●平坦●建築条件なし●更地渡し●第一種住居地域●都市ガス
    物件情報更新日
    2026年03月28日(物件情報更新日より14日以内に更新)
    物件コード
    86378
    取引態様
    仲介
    今すぐ会員登録する資料請求お気に入りに追加
    お問い合わせ先: 0120-540-844
    電話でお問合せする
    センチュリー21ゲットハウス
    センチュリー21ゲットハウス
    来店・案内予約はこちら
    〒223-0052
    神奈川県横浜市港北区綱島東1丁目6-3 TS吉原ビル2・3F
    0120-540-844
    営業時間:9:30~20:30 定休日:火曜日、水曜日
    ローンシミュレーション
    • {{error}}
    物件価格
    5,000万円
    借入予定額
    万円
    頭金
    万円
    ボーナス(1回分)
    万円
    返済期間
    ローン金利
    ※ 金利参考先:横浜銀行
    金利
    %
    毎月の支払額
    {{repayment_price}} 円

    条件がよく似た物件

    間取図/区画図
    その他
    その他
    参考プラン
    間取図/区画図
    その他
    その他
    参考プラン
    横浜市立西寺尾小学校(小学校) 250m
    横浜市立錦台中学校(中学校) 500m
    神ノ木保育園(幼稚園・保育園) 644m
    MEGAドン・キホーテUNY大口店(スーパー) 93m
    ライフ大口店(スーパー) 399m
    セブンイレブン横浜大口駅東店(コンビニ) 118m
    スギ薬局大口店(ドラッグストア) 396m
    慈啓会大口東総合病院(病院) 311m
    横浜西寺尾郵便局(郵便局) 605m
    スマートフォン版の表示に切り替える