今すぐ無料の会員登録で
閲覧可能物件数が
+1,647
営業時間: 9:30~20:30
定休日: 火曜日、水曜日
NO IMAGE
現地
物件画像
周辺環境
QRコードをスキャンして携帯でもご覧になれます。

売地

売地
6,180万円
    月々の返済額:16万円台
    神奈川県横浜市港北区篠原北1丁目
    表示住所までのルート

    東急東横線 菊名駅 徒歩 10分 駅までのルート

    横浜線 菊名駅 徒歩 10分 駅までのルート

    NEW現地見学会おすすめ会員限定
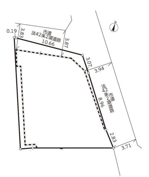
    土地面積
    170.62㎡(51.61坪)[実測]
    建ぺい率
    50%
    容積率
    100%
    建築条件
    なし
    今すぐ会員登録する資料請求お気に入りに追加
    お問い合わせ先: 0120-540-844
    電話でお問合せする

    東急東横線・横浜線「菊名」駅徒歩10分!都心へのアクセス良好です!通勤通学に便利!建築条件なし!土地面積も広く理想の住まいが叶います!お好きなハウスメーカーで建築可能です!

    お客様にご安心、ご満足いただけるよう精一杯務めて参ります

    物件情報
    名称
    売地
    価格
    6,180万円
    土地坪単価
    119.70万円
    権利金/保証金
    なし/なし
    所在地
    神奈川県横浜市港北区篠原北1丁目地図
    交通

    東急東横線 菊名駅 徒歩 10分

    横浜線 菊名駅 徒歩 10分

    土地面積
    170.62㎡(51.61坪)[実測]
    地目
    宅地
    土地権利
    所有権
    土地現況
    更地
    建築条件
    なし
    設備・条件
    ガス:都市ガス 汚水:公共下水(使用可) 水道:公営水道(使用可)
    都市計画
    市街化区域
    用途地域
    第一種低層住居専用地域
    建ぺい率/容積率
    50%/100%
    国土法の届出
    不要
    最適用途
    住宅用地
    セットバック
    なし
    私道負担
    なし
    接道状況
    二方 東:幅員3.8m公道 北:幅員3.8m公道
    地域地区
    準防火地域
    引渡時期
    相談
    学区

    篠原小学校 約485m

    篠原中学校 約736m

    備考
    ●土地面積:170.62平米●第一種低層住居専用地域●建築条件なし●更地●都市ガス
    物件情報更新日
    2025年12月27日(物件情報更新日より14日以内に更新)
    物件コード
    84686
    取引態様
    仲介
    今すぐ会員登録する資料請求お気に入りに追加
    お問い合わせ先: 0120-540-844
    電話でお問合せする

    地図

    センチュリー21ゲットハウス
    センチュリー21ゲットハウス
    来店・案内予約はこちら
    〒223-0052
    神奈川県横浜市港北区綱島東1丁目6-3 TS吉原ビル2・3F
    0120-540-844
    営業時間:9:30~20:30 定休日:火曜日、水曜日
    ローンシミュレーション
    • {{error}}
    物件価格
    6,180万円
    借入予定額
    万円
    頭金
    万円
    ボーナス(1回分)
    万円
    返済期間
    ローン金利
    ※ 金利参考先:横浜銀行
    金利
    %
    毎月の支払額
    {{repayment_price}} 円

    条件がよく似た物件

    間取図/区画図
    間取図/区画図
    横浜市立篠原小学校(小学校) 500m
    横浜市立篠原中学校(中学校) 745m
    クレシュ新横浜(幼稚園・保育園) 873m
    まいばすけっと横浜篠原町店(スーパー) 644m
    ローソン港北篠原町表谷店(コンビニ) 275m
    マツモトキヨシ菊名駅東口店(ドラッグストア) 821m
    山田医院(病院) 903m
    神奈川菊名郵便局(郵便局) 812m
    キュービックプラザ新横浜(ショッピング施設) 1108m
    スマートフォン版の表示に切り替える